您现在的位置: 首页 >> 答疑变更 >> 安徽公共资源交易集团项目管理有限公司 >> 工程
一、原公告主要信息
原项目名称: 合作化南路(美和路—习友路)及美和路(金寨路—合作化路)工程
原项目编号: 2020BFFGZ01303
原公告日期: 2020年06月29日
二、公告内容(更正事项、内容及日期等)
合作化路(美和路-习友路)及美和路(金寨路-合作化路)工程项目招标
工程量清单、最高投标限价编制补疑1
项目编号:2020BFFGZ01303-补1
各投标人:
重要提示
1、人工费执行《关于贯彻执行2018版安徽省建设工程计价依据的通知》(合造价【2018】13号文)。其中定额人工费参与取费、取税,其相对于定额人工费增加的部分 0 元只计取税金。
2、本工程取费按“ 市政 工程取费标准”中“ 道路、排水、桥涵工程 ”的费率计取;其中房屋建筑、市政工程中挖或填土石方量大于5000m3的大型土石方工程,其企业管理费率8%、利润率8%,措施项目费率和不可竞争费率按房屋建筑工程或市政工程相应费率乘0.6系数。
按业主要求,现对本项目招标工程量清单、最高投标限价编制作出如下补充:
第一部分:招标需求
一、招标范围:
本项目共1个标段,包括合作化路(美和路-习友路)及美和路(金寨路-合作化路)共两条路。招标范围主要为:
1、合作化路美和路(阊水路)-习友路:起讫点桩号具体为4+02.975~24+19.597,长度约2km,设计路幅宽40米,沥青砼路面。其中龙川路交口以南至动车运用所桥南端(桩号12+66.926~桩号17+27.365)范围,桥梁主体工程内容已经由铁路部门代为建设,不在本次招标范围。本次招标具体包括道路、排水、交通(含代建部分,交通监控、信号仅计预埋管井)、照明(含代建部分)、绿化、电排(土建,其中代建段10KV、110KV均不在本次招标范围)等设计图纸范围内所有内容。
单位工程包括:
(一)土方工程:包括路基土石方、排水土方、绿化土方、电力排管、其它杆管线沟槽回填及余土弃置等设计图纸范围内全部施工内容;
(二)道路工程:包括机动车道、非机动车道、人行道、侧石及树池,挡墙、栏杆、围墙、护坡等设计图纸范围内全部施工内容(人行道仿石砖、仿石侧石主材甲供,主材不计价,保管费及二次倒运费自行考虑在报价中,中标后不得调整);
(三)排水工程:包括图纸设计范围内的雨水、污水、雨水边沟及原有检查井升降、加固、井盖座更换,现有排水管清淤,并包括雨14~雨10~-十五里河出水口二雨水工程等设计图纸范围内全部施工内容。
(四)电排工程:图纸设计范围内的电缆排管土建部分等(不含代建部分)设计图纸范围内全部施工内容;
(五)交通工程:①交通标志标线标牌工程:包含土方、基础、标线、标杆、标牌工程等设计图纸范围内的所有内容;②交通信号及监控工程:仅考虑土方、预埋管道、手井等;
(六)照明工程:图纸设计范围内的管线、手井、电缆敷设、路灯安装等。箱变及箱变进线电缆不在招标范围;
(七)绿化工程:绿化工程中苗木栽植、养护、树木支撑等,包含设计图纸范围内全部施工内容;
(八)暂列暂定工程:详见招标文件及补遗规定的暂定量,预留金等。
2、美和路(金寨路-合作化路)本次招标范围:为金寨路-合作化路,具体起讫点为桩号K0+000~K0+800,设计路幅宽45米,沥青砼路面.包括道路、排水、桥梁、交通(交通监控、信号仅计预埋管井)、照明、绿化、电排(土建)等设计图纸范围内所有内容。单位工程包括:
(一)土方工程:包括路基土石方、排水土方、绿化土方、电力排管、其它杆管线沟槽回填及余土弃置等设计图纸范围内全部施工内容;
(二)道路工程:包括机动车道、非机动车道、人行道、侧石及树池,等设计图纸范围内全部施工内容(人行道仿石砖、仿石侧石主材甲供,主材不计价,保管费及二次倒运费自行考虑在报价中,中标后不得调整);
(三)排水工程:包括图纸设计范围内的雨水、污水及原有检查井升降、加固、井盖座更换,现有排水管清淤等设计图纸范围内全部施工内容。
(四)桥梁工程:包括基坑土方、桩基础、下部结构、上部结构及附属结构及十五里河挡墙、护坡等设计图纸范围内全部施工内容,结构形式三跨简支梁桥;
(五)电排工程:图纸设计范围内的电缆排管土建部分等(设计图纸范围内全部施工内容;
(六)交通工程:①交通标志标线标牌工程:包含土方、基础、标线、标杆、标牌工程等设计图纸范围内的所有内容;②交通信号及监控工程:仅考虑土方、预埋管道、手井等;
(七)照明工程:图纸设计范围内的管线、手井、电缆敷设、路灯安装等。箱变及箱变进线电缆不在招标范围;
(八)绿化工程:绿化工程中苗木栽植、养护、树木支撑等,包含设计图纸范围内全部施工内容。
补充说明:图纸上已设计,但不计入本次招标范围的有:
1、交通工程中信号、监控设备、杆件及基础不在本次招标范围;
二、暂定项目:
(一)以下项目按照业主要求,以暂定工程量计入分部分项工程量清单,投标人综合考虑报价,标后按实际工程量结算。
1、施工范围线以外交口及道口顺接:因新建道路造成沿线单位、居民交口及道口存在高差,施工范围线以外交口及道口顺接等,做法参照快车道结构(包括土方挖填、侧石、灰土、水稳、沥青等所有施工内容),列入暂定暂列单位工程分部分项工程量清单,工程量500m2,决算时按实调整;
2、人行道、台阶、围墙、挡墙及护栏:红线外建筑垃圾需在完工之前清除到位;道路与周边衔接需到边到角,结合地形,合理选择衔接方式。该项工作由中标人负责实施,人行道暂列500m2,C20砼台阶暂按500m2,围墙暂按200m、挡墙及护栏各200m考虑,投标人自行报价(报价中应包含土方挖运、材料回填、恢复、基础施工、台阶及围、挡墙砌筑、粉刷、栏杆等所有需要的工作内容),列入暂定暂列单位工程分部分项工程量清单,工程决算时工程量据实调整;
3、零星雨、污水管改造:沿线单位及居民小区零星雨、污水管改造由中标人负责实施,按φ300、φ400、φ500、φ600、φ800管(材质同雨污水)五种规格各列入200米,投标人自行报价(报价中应包含土方开挖、材料、管道施工、回填、可能增加的检查井及井盖等所有工作内容),按不同规格分别列入暂定暂列单位工程分部分项工程量清单,工程决算时工程量据实调整;
4、周边居民表外自来水改造:周边居民表外自来水改造由中标人负责实施,按φ63-100 PE管、φ125-200球墨铸铁管、φ250以上球墨铸铁管,各暂列100米,投标人自行报价(报价中应包含土方开挖、材料、管道(含管件、阀门等所需相关配件)施工、回填、可能增加的检查井及井盖等所有工作内容),按不同规格分别列入暂定暂列单位工程分部分项工程量清单,工程决算时工程量据实调整;
5、周边居民表外燃气改造:周边居民表外燃气改造:由中标人负责实施,按φ63-100 PE、φ125-200管各列入200米,φ125-200、φ250以上管(钢管)各种规格各列入200米,投标人自行报价(报价中应包含土方开挖、材料、管道(含管件、阀门等所需相关配件)施工、回填、可能增加的检查井及井盖等所有工作内容),按不同规格分别列入暂定暂列单位工程分部分项工程量清单,决算时对工程量据实调整;
6、化粪池:沿线化粪池拆除及修建暂定2个,做法为:混凝土模块式化粪池M11-50QSF,有效容积50m3,尺寸9000*3400,施工参见国标08SS704。投标人自行报价(报价中应包含土方开挖、材料、施工、回填、可能增加的连接管及盖座等所有工作内容),列入暂定暂列单位工程分部分项工程量清单,决算时工程量据实调整;
7、草皮:马尼拉草皮暂定5000m2,包括栽植、养护(养护等级一级、养护期一年),列入暂定暂列单位工程分部分项工程量清单,工程决算时工程量据实调整;
8、交通工程过路顶管:交通工程过路顶管,材质为镀锌钢管,壁厚8mm,DN100,暂定500m,列入暂定暂列单位工程分部分项工程量清单,工程决算时工程量据实调整;
9、交通工程预埋钢管:交通工程过路预埋管,材质为镀锌钢管,壁厚8mm,DN100,暂定500m,列入暂定暂列单位工程分部分项工程量清单,工程决算时工程量据实调整。
(二)以下项目按照业主要求,暂列金额为800万元,计入合作化路及美和路暂定暂列工程单位工程其他项目清单,投标人应按招标人所列的金额计入投标总价并计取税金。
(三)以下项目按照业主要求:按暂定价列入其他项目清单的内容:
1、路灯电源报装完毕移交前亮灯电费50万元;
2、供电杆线迁移50万元。
上述暂定价分别列入合作化路及美和路暂定暂列工程单位工程其他项目清单,投标人应按招标人所列的金额计入投标总价并计取税金。
(四)执行暂估价的材料、设备、专业工程及其金额如下:无。
三、按项列入清单的内容,标后不予调整:
以下项目按照业主要求,按项计入,投标人自行踏勘现场,综合考虑报价,中标后不予调整。
1、杆洞处理:迁移后的杆洞采用C20砼回填,按一项分别列入“道路工程”单位工程分部分项工程量清单,投标人结合设计图纸自行踏勘现场后综合考虑报价,一次性包死,结算时不再调整。
2、临时用水用电接引:本工程所有临时用水用电接引,含水(含临时水表)、电(含临时变压器)报装、接引等一切费用,水电接引必须经招标人同意后予以接引,如不具备水电接引到位的情况,投标人应自行解决水电问题,以满足施工需要,按一项列入“美和路桥梁工程”单位工程分部分项工程量清单,投标人结合设计图纸自行踏勘现场后综合考虑报价,一次性包死,结算时不再调整。
3、检查井升降、加固:施工范围内涉及部分原有管道(线)井座的升降、加固、井盖座更换及新建的其他管线检查井(不包括雨、污水)的升降与加固,该部分费用作为一项分别列入“排水工程”单位工程工程量清单,一次性包死,决算时不予调整。
4、原有雨、污水管道清淤疏通:利用现状的雨、污水管道清淤疏通、与原有雨污水管道连接处清淤(必须保证排水通畅)及对老管道在开挖过程中进行加固、改造、原管位重建新管道时的临时排水,按一项分别列入“排水工程”单位工程分部分项工程量清单,投标人结合设计图纸自行踏勘现场后综合考虑报价,一次性包死,结算时不再调整。
5、其他杆管线沟槽回填及土方外运:中标人负责各种杆管线(包括:供水、燃气、热力等各类综合杆管线)沟槽回填(管顶30cm以上)及余土外运工作(含新建、改迁及既有管道),回填材料材质与雨污水沟槽回填材质要求相同。投标人在投标报价时须认真研究综合管线图、地勘报告并踏勘现场,对清单工程量进行认真复核,考虑工程施工过程中可能出现的各种变化,作出合理报价,按一项分别列入“土方工程”单位工程分部分项工程量清单,投标人结合设计图纸自行踏勘现场后综合考虑报价,一次性包死,结算时不再调整。
6、配合供水、供热、燃气管道等泄漏故障处理:供水、供热、燃气管道等在保护、迁移过程和新建后,发生管道漏水故障处理,由施工单位进行配合破复、反挖、回填及道路修复等工作,该项费用作为一项分别列入“道路工程”单位工程清单报价,一次性包死,决算时不予调整。
7、杆管线保护所引起的临时支护费用:因各种杆管线(含供电)影响施工,需按照产权单位相关规定加固保护,杆管线保护所引起的临时支护等保护费用,按一项分别列入“道路工程”单位工程分部分项工程量清单,投标人结合设计图纸自行踏勘现场后综合考虑报价,一次性包死,结算时不再调整。
8、建筑垃圾、生活垃圾外运:因道路施工、房屋拆迁引起的或沿线单位外弃的建筑垃圾、生活垃圾外运作为一项分别列入“土方工程”单位工程工程量清单,由投标人根据图纸要求及现场情况自行报价,一次性包死。
9、施工现场围挡:因交通组织需要,门楼按照招标人要求设置,在涉及建筑物及车辆、行人出入处安装2.5米高双层铝塑夹心板绿篱围挡(绿篱围挡设施面层材料必须全部覆盖绿色仿真草皮,可装饰无纺布仿真花、果藤条,并始终保持表面平整洁净、无缝隙;须设置公益广告的按照绿篱围挡与公益广告围挡1:1比例间隔规范设置,绿篱围挡设施和广告围挡设施连接处不得出现空隙;同时必须满足合肥市城管局和招标人要求),厚度大于5cm,纵向设置,必须根据并满足招标人对施工现场交通组织要求,公益广告布置满足招标人要求。本次工程施工时交通不中断,投标人需充分考虑围挡费用,上述费用列入清单报价(包括施工期间的日常维护、破旧围挡的更换等),按一项分别列入“道路工程”单位工程分部分项清单中,投标人结合设计图纸自行踏勘现场后综合考虑报价,一次性包死,结算时不再调整。
10、施工范围内需拆除、清理、弃置的工程:含施工范围内的地上、地下需拆除的结构、构筑物及障碍物,如现状水泥砼地坪、涵洞、交通标牌(广告牌)、围墙、挡土墙、护坡、堤岸护砌、房屋基础,因房屋拆迁引起地上、地下的基础、建构筑物、化粪池、水井、自然坑洞、垃圾池、树桩,树根挖除,树穴处理等(现状机动车道及侧石拆除另计),施工范围内需拆除的工程(含排水、路灯、标志标牌、信号、围墙、挡土墙、护坡、拆除后的房屋砼地坪及基础等),拆除后的杆件、标牌、井盖座等须运至建设单位指定地点存放,按一项分别列入“道路工程”单位工程分部分项工程量清单,投标人结合设计图纸自行踏勘现场后综合考虑报价,一次性包死,结算时不再调整。
11、天网监控设备(含拆除与恢复):按一项分别列入“道路工程”单位工程分部分项工程量清单,投标人结合设计图纸自行踏勘现场后综合考虑报价,一次性包死,结算时不再调整。
12:隐形井盖:按一项分别列入各条道路“道路工程”分部分项清单中,投标单位自行考察现场,综合考虑报价,结算不予调整。内容包含:为保证人行道的美观和盲道的连续性,人行道上雨水、污水、供水、燃气和弱电检查井等采用隐形井盖,304系列不锈钢材质,隐形井盖底板及边框壁厚4mm,盖板采用一体化仿石材(花岗岩、水泥砖等),具体颜色及拼花同井盖周边铺装。
四、补充图纸及修改图纸的说明:
本工程在第一次发放图纸后,有补充图纸:以最终发放的图纸为准,具体详见图纸目录。
五、总承包服务费:无。
六、本项目甲供材:人行道板仿石砖、仿石混凝土侧石、外缘石主材甲供,中标人负责卸货、进场保管、安装等,详见招标文件规定,甲供材主材不计价,保管费及二次倒运费投标人自行考虑在报价中,中标后不得调整。
七、温馨提示:投标人投标报价还须仔细阅读本项目招标文件,慎重报价。
第二部分:设计文件及技术补充说明
一、共性问题
1、现场情况与地形图基本一致,合作化路现场有部分外单位新弃杂土,具体见设计院补遗。土方工程包括挖、填、运、内倒、外弃等工作内容,取土点、弃土点业主不指定,土方运距投标人结合设计图纸及现场勘察综合考虑,自行报价,含土源费、弃土场费、保洁费、协调费、清表以及市容等相关部门征收的一切费用,综合考虑在报价中,中标后综合单价一律不予调整。
2、请明确绿化工程成活养护期、保存养护期及养护等级?
答:成活养护期一个月,保存养护期一年,养护等级一级。
3、合作化路设计图纸道路-32(美和路同),沿线人行道不锈钢双层井盖座(隐形井盖座)工程量?
回复:不锈钢隐形井盖,每条路工程量清单控制价按一项列入,投标人结合设计图纸及现场考察综合考虑、自行报价,以后不再调整。
4、其他杆管线如供热、给水、燃气等沟槽余土弃置及沟槽回填是否考虑?沟槽回填材料品种?
回复:予以考虑,相关工程量按项列入每条路土方工程单位工程,投标人自行测算,综合考虑报价,以后不再调整。回填材料品种为6%石灰土。其中过路管均采用C20砼满包。
二、个性问题
(一)合作化路:
道路工程
1、设计图纸道路-04,说明4、下穿高速桥梁部分路堑边坡采用预制砼六角块植草护砌进行防护,工程量?预制砼六角块混凝土强度?植草品种?是种草籽还是植草皮?是否在本次招标范围?设计图纸道路-28同。
答:常规C20,边长20cm,厚度5cm,植草。护坡网格内种果岭草,百慕大追播黑麦草8克每平米。
2、因本次招标范围为合作化路(美和路-习友路),设计图纸道路-14说明:2.各交口范围(含沿线道口延长段)清表土方量63254m3,本次招标范围工程量为多少?
答:根据道路-14自行计算。
特别备注:因美和路~龙川路段相交道路及周边地块的不断建设,现场堆土也在不断变化中,根据我院于2020年6月10日对美和路~龙川路段的地形高程修测成果,经计算,目前本段清表土方量需在原设计清表方量的基础上另行增加68520立方米。因现场土方动态变化中,施工招标时,施工单位务必自行对现场进行复测,对土方量的变化统筹考虑。
3、设计图纸道路-14说明:3.清淤深度暂按1.5米深考虑,清淤方量总计13931m3,,本次招标范围清淤量为多少?
答:根据现场情况,工程量一次性包干,投标人须充分勘查现场综合考虑,以后不再调整。
4、设计图纸道路-15说明:2.各交口范围反挖25650m3,填方为43235m3,3.路段反挖土方量12170m3,本次招标范围工程量分别为多少?同样设计图纸道路-15的路基总挖方、填方及4%、6%石灰土、道渣石、碎石工程量各为多少?
答:根据道路-09、道路-12、道路-17、道路-18自行计算。
5、现场踏勘有部分老路(水泥混凝土)需破除及构筑物拆除工程量如何考虑?
答:老路破除及构筑物拆除等按项列入工程量清单,投标人自行考察现场,综合考虑报价,以后不再调整,详见招标文件。
6、现场踏勘有部分路段有建筑垃圾、生活垃圾,沿线建筑垃圾、生活垃圾工程量如何考虑?
答:沿线建筑垃圾、生活垃圾按项列入工程量清单,投标人自行考察现场,综合考虑报价,以后不再调整,详见招标文件。
7、与部分原有道路交口处(如习友路)有老检查井、雨水口需升降,此部分工程量如何考虑?
回复:按项列入清单,详见招标文件。
8、清淤回填处理钢塑土工格栅工程量?设计图纸道路-16填挖交界处土工格栅工程量?
答:本次招标范围共有填挖交界处6处。
9、挡车柱数量?
答:根据道路-23中对其布置位置及间距的要求结合道路-09自行计算。
10、除下穿桥人行道设置栏杆外,挡土墙顶部是否设置栏杆?
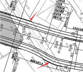
答:五水厂沉淀池范围两侧挡墙上方不设置栏杆,均采用实体围墙,详见补充设计图纸大样图。
11、考虑到五水厂处沉定池可能继续利用,为防止淤泥及池中水浸入挡墙基础,五水厂两侧挡墙基础增加加铺。结构如图:

12、终点22+20两侧碎石路附近是否为围墙?见下图:
答:是。

13、复合材料树池盖板厚度,强度或工艺性能?
回复:树池盖板做法参照美和路树池盖板实施。
14、龙川路交口对现状沥青路面改造,结构层做法?是否同合作化南路做法?新建分隔带是否种植绿化?工程量?
回复:按设计图纸,范围见下图:

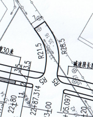
15、补充设计图纸23+20增设道口,道口长度或面积,结构做法?
回复:道口宽7m,与现状进入厂区道路做好衔接,结构做法同机动车道,范围参考道口处平面图。

排水工程
16、排水工程设计图纸说明五注意事项10、排入十五里河出口处破坏现状河堤的部分需按原状进行恢复。此部分费用如何考虑?是否在本次招标范围?
答:考虑排口施工时对现状河堤的破坏及修复,在本次招标范围。按一项列入道路工程单位工程工程量清单。包括现状河堤破除、原样恢复、废料外运等相关一切内容,投标人综合考虑报价,以后不再调整。
17、雨水边沟一19+00两侧0.8*0.6m边沟设计图纸标注均为142m?
回复:均按142m。
18、雨水边沟二1.8*0.6m边沟是否为盖板边沟?
回复:雨水边沟二无盖板。
19、排水工程数量表标注0.5*0.34截水边沟设计图纸未见具体做法(18+20两侧)?
回复:0.5*0.34截水边为M7.5砌石排水沟,底宽40cm。

20、雨水工程顶管工程涉及到部分老路面及人行道破除、恢复(如习友路),工程量如何确定?
答:自行考虑,列入报价,以后不再调整。
21、设计图纸结构-24、25是否为砖砌工作井?图纸标注为W4接收井,图号标注为W24检查井结构图。是否需设置接收井,若设置,接收井设计图纸?
答:结构-24、25为砖砌倒挂井,该井为污24。
22、与美和路交口的道路、排水等界限范围?
答:雨水工程美和路交口的雨13~雨10~十五里河八字出水口为本次工程范围,,现状交口已施工,部分老路需破除及恢复,相关工程量已列入工程量清单控制价,投标人结合设计图纸及现场考察综合考虑报价,以后不再调整。
绿化工程
23、因本次招标范围为美和路(阊水路)-龙川路、17+27.365-习友路,请设计院把招标范围内的绿化工程苗木表重新提供。另请提供本次招标范围内的交通工程、监控、照明、电排等工程量。
回复:已提供绿化工程、交通工程修改后工程量。
(二)美和路:
道路工程
24、绿化工程的芝麻灰花岗岩树池石具体尺寸?玻璃钢树脂箅子技术指标?
回复:绿化工程的芝麻灰花岗岩树池石高20cm宽10cm长160cm,玻璃钢树脂箅子规格38*38*25mm,即中心距38mm,净孔为30-32mm。
25、0+714.655桥梁施工涉及到原有河道护坡、挡墙破坏及恢复工程量如何确定?
回复:按设计图纸。
26、起点涉及到金寨路交口部分原有检查井、雨水口升降工程量?
回复:涉及现状检查井、雨水口升降改造可按项计列。详见招标文件。
27、现场遗留拆除建筑垃圾、地坪、老路等工程量如何考虑?
回复:按项包死,详见招标文件。
28、路面结构设计图标注透层为0.7cm厚,做法?ES-3封层厚度?
回复:透层:透层油用量 0.7-1.5L/m ;透层油阳离子乳化沥青制备,其品种及代号分别为 PC-2,采用沥青撒布车。
封层:由稀浆封层修改为乳化沥青表面处理,厚度0.6cm。设计要求如下:沥青路面下封层宜采用乳化沥青(ES-2),洒布量0.9~1.0L/m2,碎石应采用拌合楼除尘后的洁净碎石,撒布量为3-5m3/1000m2。粒径规格5-7mm,摊铺机械使用智能沥青洒布车喷洒,并采用轻型压路机碾压,在施工前应选择200-300m路段进行试验,确定撒布油的用量。
29、三维网植草护坡的草皮品种?
回复:草皮品种为果岭草。
30、无障碍坡道障碍墩工程量?有无基础做法?
回复:与人行道基层同步施工,做法按埋入式。
排水工程
31、雨水设计说明机动车道上的检查井周围40cm范围回填中粗砂。又位于路面范围内的检查井井室周围的回填,应采用砂砾石回填,其宽度不宜小于0.4米。请明确是中粗砂还是砂砾石?其余雨污水沟槽回填材料品种?
回复:均为6%石灰土。
32、雨水管道基础横断面设计图,管顶以上50cm以下回填材料为中粗砂还是砂石?
回复:中粗砂。
33、雨水口连接管是否用C15混凝土满包?
回复:采用C20砼满包。
34、雨污水管道接口执行什么标准图集?
回复:06MS201-1/23。
35、污水设计说明P3:管道采用180°砂石管基,详见06MS201-1/9。06MS201-1/9为120°砂石基础?
回复:为180°砂石管基,详见06MS201-1/11。
36、天网监控迁移及恢复,请提供工程量。
回复:按项计入,详见招标文件。
桥梁工程
37、浆砌片石护坡、护脚的砂浆标号不明?
回复:砂浆标号M10。
38、人行道砖砌封堵砂浆标号不明?
回复:砂浆标号M10。
39、墩柱施工步游道恢复处砌块挡墙处是否需和桥下渠道砌块挡墙处一样设置级配砂石滤层及土工布?
回复:需要,同原两侧渠道砌块挡墙做法一致,可详见安微省水利水电勘测设计院《合肥市十五里河312国道以上至天鹅湖段综合治理工程》施工图,图号SWLH-SHJS-26,其余步游道栏杆、铺装、边坡绿化等构造均参考原设计图纸。
三、附件
答疑发布日期:2020年06月30日